Beschreibung
# Objektbeschreibung
Zum Verkauf steht ein attraktives Wohnungsgundstück mit Bestandsgebäude in top Lage von Ettlingen.
Das Objekt bietet sowohl für Kapitalanleger und Bauträger als auch für Privatpersonen ein hohes Entwicklungspotenzial – nicht zuletzt aufgrund der bereits positiv beschiedenen Bauvoranfrage – zur Aufstockung, zum Abriss/Teilabriss und Neubau eines Wohnkomplexes inkl. eines Hinterhofhauses mit insgesamt 8 möglichen Wohneinheiten.
Die Baugenehmigung erfolgt im Rahmen der Nachbarschaftsbebauung nach §34 BauGB.
# Ausstattung
Bemerkungen:
Aktuell ist das Objekt NICHT saniert. Objekt ist zum Abriss und Neubau (genehmigte Bauvoranfrage liegt vor) oder zu sanieren.
Siehe Expose inkl. genehmigter Bauvoranfrage
# Weitere Angaben
Verfügbar ab: sofort
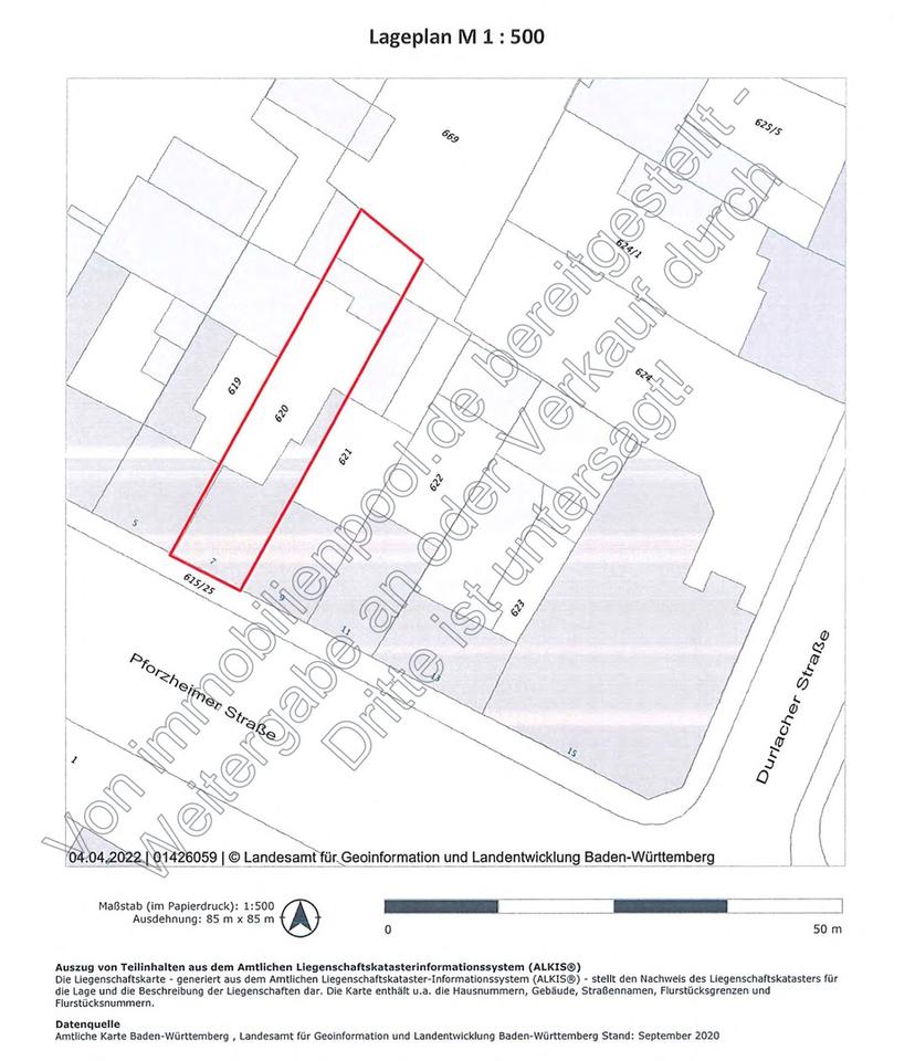
Grundstücksfläche: ca. 345 m²
# Lagebeschreibung
Beste Lage in Ettlingen direkt hinter der Stadtmauer. Alles fußläufig zu erreichen.
200m in die Innenstadt
Bus & Bahn Anbindung ist die nächste Haltestelle „Erbprinz“
Autobahnanbindung vorhanden
Infrastruktur (im Umkreis von 5 km):
Apotheke, Lebensmittel-Discount, Allgemeinmediziner, Kindergarten, Grundschule, Realschule, Gymnasium, Gesamtschule, Öffentliche Verkehrsmittel
# Sonstiges
Heizungsart: Zentralheizung
Energieträger: Gas
In Ergänzung zur top Lage von Ettlingen bietet dieses Haus für jeden Nutzer (Eigennutzung oder Vermietung) und jede Baugestaltung (Abriss,Neubau oder Sanierung) attraktive Abschreibungsmöglichkeiten:
1. Abriss und Neubau
QNG- Standard 10% Abschreibungsmöglichkeit die ersten 4 Jahre und 5 % ab dem 5. Jahr- dies entspricht einer Abschreibung von 75% in 11 Jahren
2. Modernisierung
Objekt liegt im ausgewiesenen Sanierungsgebiet Schillerstraße/Pforzheimerstraße in Ettlingen was hohes Abschreibungenspotenzial auf die Herstellungskosten ermöglicht.
KEIN DENKMAL
Sanierungsabschreibungen der Herstellungskosten von 90% in 11 Jahren.
Ergänzt wird dieses Paket durch die mögliche Inanspruchnahme von zinsvergünstigten Darlehen der KFW (100-150T€ pro Wohneinheit) zzgl. attraktiven Tilgungszuschüssen.
Durch den Energieausweis mit „H“ kann nochmals zusätzlich zu den oben erwähnten Tilgungszuschüssen ein Tilgungszuschuss in Höhe von 10% extra beantragt werden.
Ausführliche Infos hierzu siehe Expose.
Sonstige Unterlagen:
– https://www.ohne-makler.net/immobilie/file/1582530.pdf (Energieausweis)
– https://www.ohne-makler.net/immobilie/file/1582532.pdf (Expose inkl. Bauvoranfrage)
Makleranfragen nicht erwünscht. Nach § 7 UWG sind unaufgeforderte Kontaktaufnahmen durch Makler ohne ausdrückliche Einwilligung des Empfängers verboten!
ohne-makler (OM) ist weder Anbieter noch Vermittler der Immobilie. OM betreibt eine Plattform für Immobilieneigentümer, die unter anderem die gleichzeitige Veröffentlichung einzelner Inserate auf mehreren Immobilienportalen ermöglicht. Die Inhalte dieser Inserate werden ausschließlich von Dritten verantwortet. Für die Richtigkeit, Vollständigkeit oder Rechtmäßigkeit der Angaben übernimmt OM keine Haftung. Hinweise auf mögliche Rechtsverstöße können jederzeit gemeldet werden und werden nach Prüfung umgehend bearbeitet.
# Energie
Energieausweis: Energiebedarfsausweis
Endenergiebedarf: 435 kWh(m²*a)
Energieeffizienzklasse: H
Heizungsart: Zentralheizung
Wesentliche Energieträger: Gas
Anbieter-Objekt-ID: 284803







